
御宿・岩和田海水浴場200m!開放的で広い土地。周囲には別荘等も点在。海水浴、サーフィン等マリンレジャーを楽しむのに好立地!海が近いのにこの広さは魅力。
こちらの物件について問い合わせる
【物件番号をお手元にご用意ください】
外観・周辺
パノラマ
設備
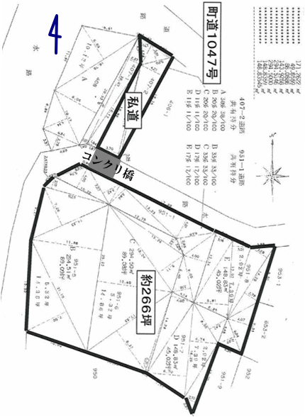
概略図
マップ
物件概要
| エリア | いすみエリア(御宿町) |
|---|---|
| 立地(環境・目的等) | 海近・別荘、リゾート |
| 更新日 | 2026年1月00日 |
| 物件番号 | 54yq206ht |
| 所在地 | 夷隅郡御宿町岩和田(いわわだ)951-5他 |
| 路線・最寄り駅 | JR外房線・御宿駅 |
| 最寄駅からの所要時間 | 徒歩18分(御宿駅約1.4km) |
| 価格 | 1,190万円(坪単価@4.47万円) |
| 土地面積(坪) | 880.84㎡(266.45坪) |
| 地目 | 宅地 |
| 都市計画・用途 | 非線引・第一種住居地域 |
| 建ぺい率(%) | 80% (※備考参照) |
| 容積率(%) | 200% |
| 設備 | 公営水道・LPG・浄化槽・水路 |
| 接道状況 | 北側幅員約4.5mの町道に約4m私道が接道 |
| 現況 | 更地&古家有り |
| 取引態様 | 仲介 |
| 備考 | ★準防火地域内(建ぺい率80%となります。) |


























